Tropical Cyclone Maila develops in the Solomon Sea, possible track towards Far North Qld
Australia’s 2025–26 cyclone season has already been an active one. After Severe Tropical Cyclone Narelle hammered three states in March, another system has spun up in the Solomon Sea, with the potential to approach and impact Far North Queensland later this week. Tropical Cyclone Maila is the 11th named tropical cyclone to form in or move into the Australian region this season. It is also the first cyclone named by TCWC Port Moresby since Cyclone Guba in 2007.
Current status and intensity
BoM’s latest technical bulletin indicates that Maila is a Category 1 tropical cyclone, with 10-minute sustained winds around 45 knots (~85 km/h) and gusts to 65 knots (~120 km/h). At 18:00 UTC on 4 April, the cyclone’s centre was about 810 km east of Port Moresby, and it was moving west-northwest. The environment is favourable for further strengthening, and models indicate the cyclone should reach severe intensity (Category 3) late Sunday or early Monday.

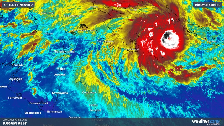
Image: Enhanced infrared satellite image showing Tropical Cyclone Maila over the Solomon Sea on Sunday morning. Source: Weatherzone.
Forecast
BoM’s track map and technical bulletin indicate that steering influences around Maila are balanced, with a ridge to the south and northwesterly flow to the north. As a result, the cyclone is expected to drift slowly over the Solomon Sea for several days.

Image: Forecast track map from the Bureau of Meteorology, issued at 04:40 am AEST on Sunday, April 5, 2026. Source: Bureau of Meteorology.
Beyond midweek, the steering pattern may change. A strengthening mid-level ridge to the east may steer Maila towards the southwest into the Coral Sea. Model guidance diverges considerably after this point, so confidence in the long-term track is low. Some scenarios suggest the cyclone could approach and impact Far North Queensland late this week into the weekend.
Should it cross the Cape York Peninsula, the system could weaken over land and then reintensify in the Gulf of Carpentaria, before impacting the eastern Top End early next week as it moves west. A few models even hint at the system moving westward into waters north of the Kimberley, but confidence in any scenario beyond five days is, at this stage, low.

Image: GFS and ECMWF track guidance for Tropical Cyclone Maila showing potential paths towards Australia. Source: TropicalTidbits.com.
What it means for Queensland and the NT
For now, Maila is a remote cyclone intensifying over the Solomon Sea, with no direct impact expected until late in the week. Residents of Far North Queensland, Cape York and the Gulf of Carpentaria should monitor updates later this week as the steering pattern becomes clearer. If Maila does move southwest towards the Coral Sea and maintain intensity, it could bring heavy rain, damaging winds and flooding to northern communities over the weekend, similar to the impacts seen with Narelle in March.
Meanwhile, Northern Territory communities should be aware that a weakened or redeveloped system could bring heavy rainfall to the Top End early next week. It is too early to speculate on any possible impact on Western Australia, but the potential for Maila to travel through three Australian cyclone regions—like Narelle did—cannot be ruled out.