Historic rainfall looms as Tropical Storm Debby hits Southeastern United States
Catastrophic flooding could affect parts of the Southeastern United States over the next few days as slow-moving Tropical Storm Debby converts bathlike Gulf Stream water into record-challenging rainfall.
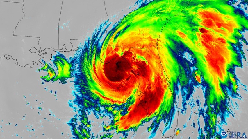
Debby made landfall over the Florida Panhandle as a category one hurricane on Monday morning. The system then weakened below hurricane strength and tracked over northern Florida as a tropical storm before crossing the border into Georgia.
Video: Visible satellite imagery of Hurricane/Tropical Storm Debby moving over Florida and Georgia on Monday, August 7, 2024.
Tropical Storm Debby is expected to move slowly towards the east on Tuesday, allowing the centre of the system to move close to or off the coast of Georgia. This track will give Debby an opportunity to draw energy and moisture from warmer-than-average water in the Gulf Stream.

Image: Sea surface temperature anomalies on August 4, 2024, showing warmer-than-average water near the Southeastern United States.
While Debby is currently not expected to re-intensify into a hurricane in the coming days, the warm Gulf Stream should see Debby maintain tropical storm strength until at least Thursday.
In addition to maintaining its strength, Debby is also expected to be very slow-moving as it lingers off the coast of Georgia and South Carolina on Tuesday and Wednesday, before possibly turning towards the north and making a second landfall in South Carolina on Thursday.
The slow-moving nature of Debby, combined with its copious atmospheric moisture, is likely to result in exceptionally heavy rain and potentially catastrophic flooding.
Hurricane Debby is expected to break atmospheric moisture records in Florida and the Southeast U.S. ????
— Ben Noll (@BenNollWeather) August 5, 2024
Meteorologists refer to a weather variable called precipitable water to understand how much moisture is contained in a column of air, from the ground all the way to the top of… pic.twitter.com/1GAeORgoh9
According to the U.S. National Weather Service’s ensemble river forecast system, major flooding is likely in parts of northern Florida and Georgia and possible in parts of South Carolina over the next few days.
The National Hurricane Center also notes that “potentially historic heavy rainfall across southeast Georgia and the coastal plain of South Carolina through Saturday morning will likely result in areas of catastrophic flooding.”
Debby’s powerful onshore winds and low atmospheric pressure will also help cause a dangerous storm surge in northeastern Florida and North Carolina in the next few days, exacerbating the flood risk near the coast.
Visit https://www.nhc.noaa.gov/ for the latest warnings and advisories regarding Tropical Storm Debby.
